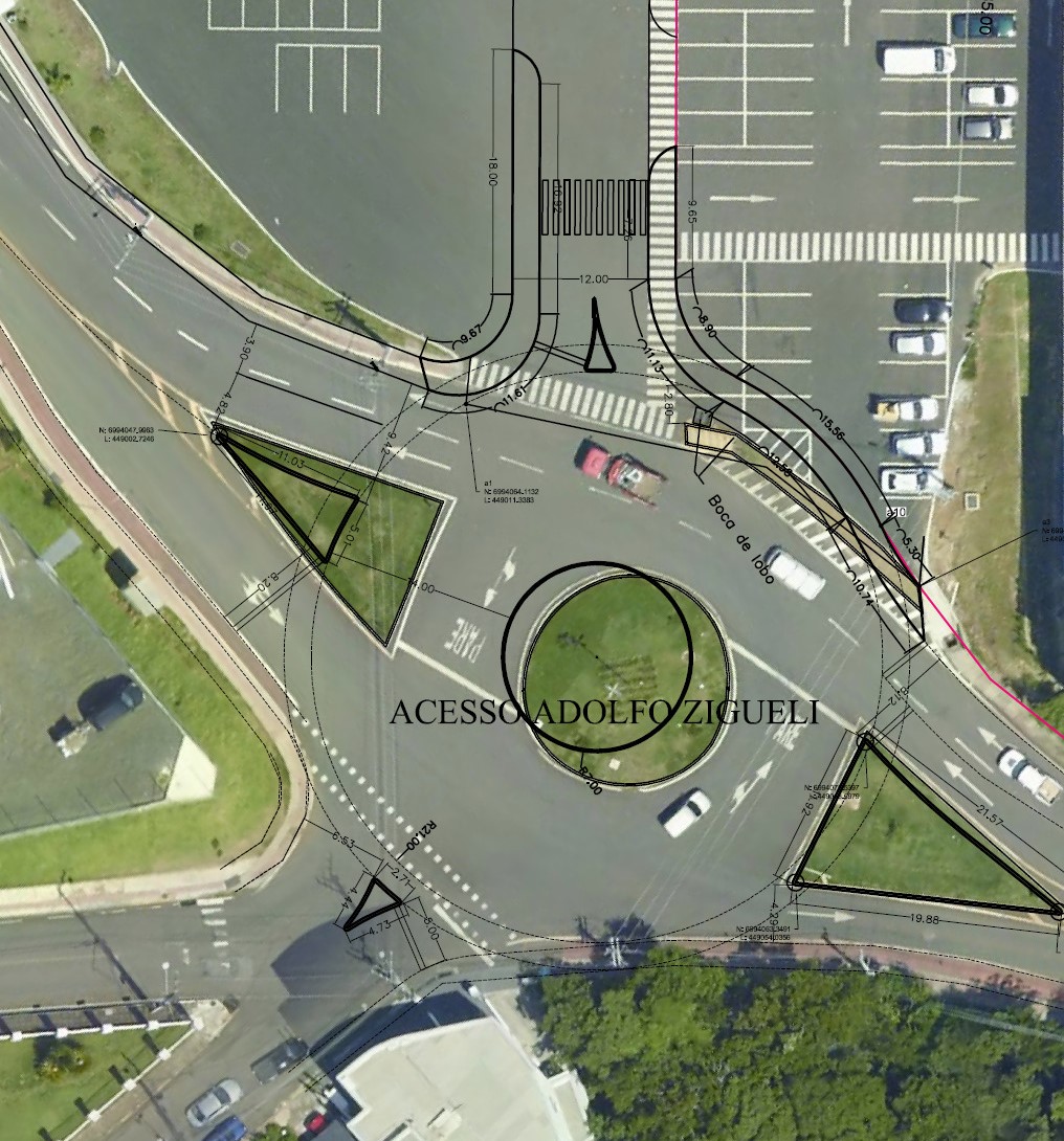
A Diretoria de Trânsito, Transportes e Mobilidade Urbana de Joaçaba comunica que na segunda quinzena de agosto será realizada adequação do trevo do Acesso Adolfo Zigueli, entroncamento com a Rua Marta Lindner Wieser (Acesso para Havan e Caitá Suermercados), Rua Amadeu Bordin (Acesso para Boa Vista e Monte Belo) e Rua Ari Rodrigues Maia (Acesso para Bairro Jardim Cidade Alta).
A adequação compreenderá em aumento das dimensões e ajustes para que passe a ter características de rotatória urbana. Em uma rotatória urbana a preferência é de quem já está circulando nela, e todos os veículos que estão chegando nela, devem obedecer à sinalização (Placa R-2, com forma de ▽, e sinalização horizontal com o mesmo formato), dando a preferência.
A mudança tem por objetivo organizar de forma segura a circulação de veículos neste entroncamento, que com o aumento do volume de veículos no Acesso Adolfo Zigueli, a configuração do trevo existente já não comporta e não é tão eficiente.
A Diretoria de Trânsito salienta que nenhuma intervenção de engenharia, seja ela qual for, oferece total segurança se a atenção, a prudência ou a cautela no ato de dirigir forem deixadas de lado. Por este motivo é preciso dirigir alerta, ter respeito pela sua vida e pela vida do próximo e acima de tudo, estar ciente que a vida vale mais que qualquer justificativa que possa ser dada para atos imprudentes ao dirigir. E aos pedestres, a Diretoria ressalta que sempre devem utilizar locais sinalizados para a travessia. Antes de iniciar a passagem, mesmo em locais com faixa de pedestre ou faixa elevada, devem observar se o motorista visualizou que pretende cruzar a pista, e cabe ao pedestre sempre sinalizar sua intenção, especialmente para que seja notado.

(Fonte Prefeitura de Joaçaba)
